조황관리HOME / 조황관리 / 상세정보

제목 : 5/25 홍원항 파라곤호 외수질 다녀왔습니다
등록일 : 2025-05-26



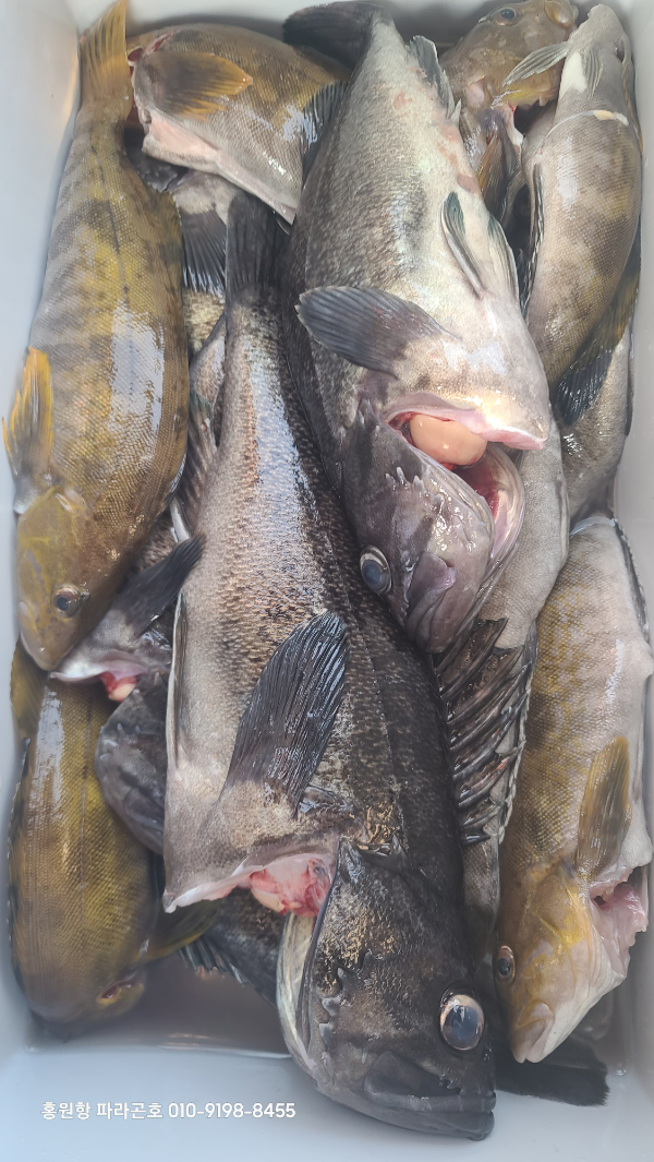
기상이 받쳐주고 조사님열심모드로 하셔서 인지 전날과 다르게 어느정도 조과물이 나왔습니다
아직까지는 저수온으로 모든 조사님 좋은 조과는 아니지만 앞으로 수온도 올라가면서 조과도 좋아질거라 확신 합니다

어려운시간,금전 투자해서 파라곤 선택 해주시는 조사님들 위해 열심 노력 하겠습니다 
수고 하셨습니다 
20250525_105458.jpg


20250525_172051.jpg


20250525_172109.jpg


20250525_172154.jpg


20250525_172203.jpg


20250525_172220.jpg


20250525_172229.jpg


20250525_172726.jpg


20250525_172729.jpg


20250525_172733.jpg


20250525_172742.jpg


20250525_172747.jpg


GridArt_20250526_042940983.jpg




===== 홍원항 파라곤호 =====

예약문의 : 010-9198-8455
오시는길 : 충남 서천군 서면 홍원길 4
홈페이지 : http://paragon.sunsang24.com/
   드  :https://band.us/band/66709087
Top